Save
Ask
Tour
Hide
Share
$3,980,000
5 Days On Site

537 Cloverleaf Dr
Monrovia, CA 91016

For Sale|Land|Active
County:
Los Angeles
Listed by Matthew Modica of Long Dragon Realty Group, Inc. [email protected]

Due to the health concerns created by Coronavirus we are offering personal 1-1 online video walkthough tours where possible.

537 Cloverleaf Dr537 Cloverleaf Dr537 Cloverleaf Dr537 Cloverleaf Dr
Save
Ask
Tour
Hide
Share

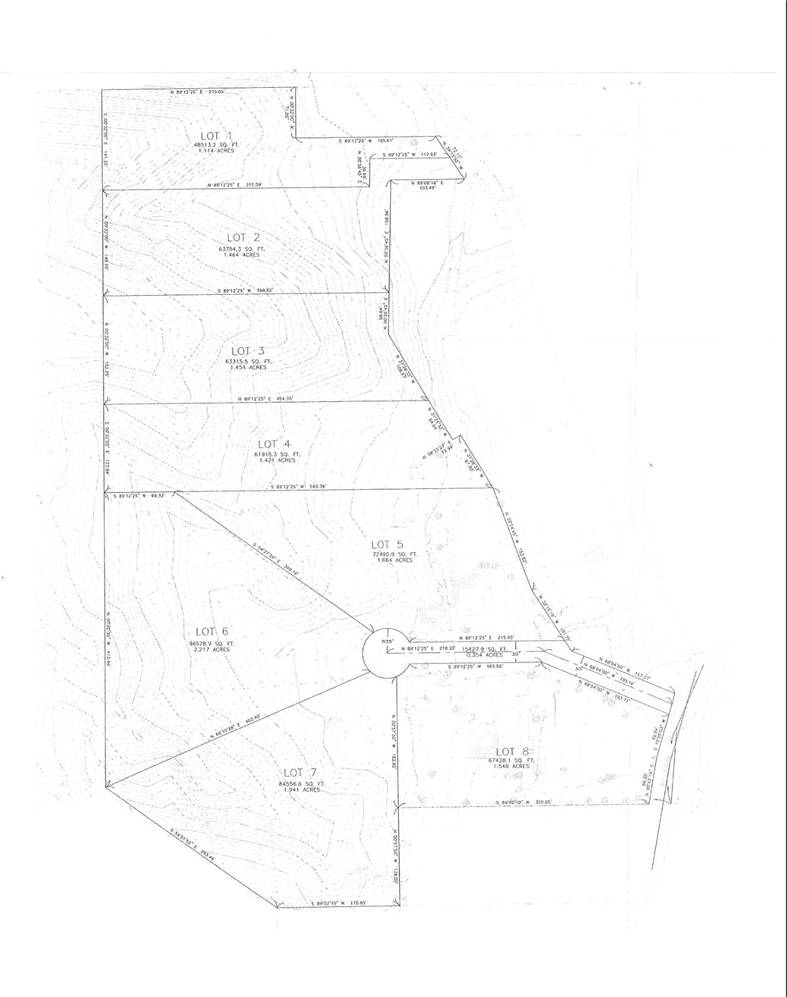
This prime Monrovia foothill offering presents a rare opportunity to acquire both a quality income-producing property and a high-potential development site in one. Currently generating steady rental income with a ~3% CAP rate, the property offers substantial room for improvement and future upside. It’s ideal for investors who wish to maintain income while advancing subdivision or redevelopment plans, minimizing carrying costs during the entitlement process. The portfolio comprises two contiguous parcels: 537 Cloverleaf Dr. (APN: 8503-001-029) — approximately 4.88 acres with a 2,683 SF dwelling AND 539 Cloverleaf Dr. (APN: 8503-002-008) — approximately 14.97 acres with a 2,390 SF dwelling Together, the combined 19.85-acre property provides utilities on site. According to recent surveyor analysis, there is potential for 6 to 8 luxury single-family home lots. The optimal layout would likely include six primary lots, while two additional lots could be achieved with more complex hillside grading and retaining solutions. Set amid the natural beauty of Monrovia’s hillside neighborhoods and just minutes from Old Town Monrovia, schools, and major transportation corridors, this property blends immediate income stability with long-term development potential—a rare combination in one of the San Gabriel Valley’s most desirable submarkets. All provided information should be confirmed by any interested parties.

Save
Ask
Tour
Hide
Share
Listing Snapshot
Price 
$3,980,000
Days On Site 
5 Days
Bedrooms 
N/A
Inside Area (SqFt) 
N/A
Total Baths 
N/A
Full Baths 
N/A
Partial Baths 
N/A
Lot Size 
19.8525 Acres
Year Built 
N/A
MLS® Number 
AR25241292
Status 
Active
Property Tax 
N/A
HOA/Condo/Coop Fees 
N/A
Sq Ft Source 
N/A
Friends & Family
Recent Activity
5 days agoListing first seen on site
5 days agoListing updated with changes from the MLS®
General Features
Acres 
19.8525
Land Lease 
No
Sewer 
Unknown
Special Circumstances 
Standard
Water Source 
Public
Zoning 
MORF
Save
Ask
Tour
Hide
Share
Exterior Features
View 
Mountain(s)
Waterview 
Mountain(s)
Community Features
Financing Terms Available 
Cash1031 Exchange
MLS Area 
639 - Monrovia


This information is for your personal, non-commercial use and may not be used for any purpose other than to identify prospective properties you may be interested in purchasing. The display of MLS data is usually deemed reliable but is NOT guaranteed accurate by the MLS. Buyers are responsible for verifying the accuracy of all information and should investigate the data themselves or retain appropriate professionals. Information from sources other than the Listing Agent may have been included in the MLS data. Unless otherwise specified in writing, the Broker/Agent has not and will not verify any information obtained from other sources. The Broker/Agent providing the information contained herein may or may not have been the Listing and/or Selling Agent.

Neighborhood & Commute
Source: Walkscore
Save
Ask
Tour
Hide
Share